Rocky and complex like a sandy underwater canyon, the Alexander Springs vent is truly lovely. On the day that I visited, there were only a few people near the vent (and only a few people in the park): three scuba divers and a free diver. How wonderful it is to visit these springs in the off season!

Above water view of the Alexander Springs vent.


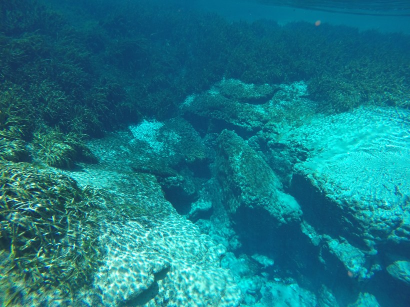
Underwater views of the Alexander Springs vent.
Like Silver Glen and Salt Springs, Alexander Springs is smack in the middle of the Ocala National Forest conservation lands. It is the southernmost of the big Ocala NF springs and its long run meanders 13,000 m through the forest before entering the St. Johns River south of Lake Dexter.

Google Earth image of the landscape around Alexander Springs.

Closer Google Earth image of Alexander Springs.
The run is narrow and intimate feeling, with some slight braiding.

The Alexander Springs run a short way downstream from the headspring.
Like several other of the St. Johns River springs (Salt, Silver Glen, Volusia Blue, Gemini, and to some extent, DeLeon), Alexander Springs is a bit salty (conductivity = 1070, http://www.sjrwmd.com/springs/alexander.html) due to ancient sea water that was trapped in the aquifer thousands of years ago. The conductivity would be higher if the water that discharged from the spring were only that trapped seawater, but the seawater combines with the freshwater that recharges the aquifer continuously before it discharges. The discharge of the spring is relatively high (100 cfs) and the spring is fairly low nutrient (nitrate = 0.55 mg/L and phosphate = 0.04 mg/L). For comparison, the nitrate concentrations of the nutrient-rich Suwannee River springs ranged from 1.8-5.7 mg/L and the phosphate concentrations ranged from 0.03-0.08 mg/L. Nutrient enrichment of nitrate is more common than phosphate in Florida springs because nitrate travels more readily through the soil than phosphate. With the relatively low nutrient concentrations in Alexander Springs, I was very surprised to see dense algae just below the headspring.

Algae blanketing the bottom of the Alexander Springs run. It is a pretty color anyway…

Eelgrass (Vallisneria americana) poking through the filamentous algae.
The bright green algae abated downstream and gave way to abundant eelgrass, although even here the leaves were covered a thin layer of algae. However, the eelgrass and other vegetation provided habitat for a remarkable number of fish.

Eelgrass waving in the flow of Alexander Springs.

Spadderdock (Nuphar luteum) in the Alexander Springs run. The bright yellow ball in the foreground is a spadderdock flower; the flowers do not really open like a lotus, but rather stay like a ball even when mature.
The fish species richness (total number of species) of Alexander Springs was among the highest that I measured among all the springs that I sampled (17 species vs. 25 for Volusia Blue and 19 for Gemini) and the diversity was the highest of all of the springs (2.16 vs 2.13 for Volusia Blue) despite the algae and a fair amount of silt along the banks. There also were more of the larger fish, sunfish (Lepomis sp.), largemouth bass (Micropterus salmoides), and lake chubsuckers (Erimyzon succetta), than in any other spring that I surveyed. At one point, there were so many fish that I had to stop the video and count frame by frame.
Largemouth bass, chubsuckers and a golden shiner or two (Notemigonus chrysoleucas) milling around in the run of Alexander Springs.
Loads of big golden shiners and a few chubsuckers in the run of Alexander Spring.

An otherwordly shot of a chubsucker.
It is interesting how much fish vary morphologically. A readear sunfish (Lepomis microlophus) that looked like it was missing most of its pigment roamed through the videos. And among all of the springs, I have regularly seen largemouth bass that are stripe-less.

Both the redear sunfish and largemouth bass in this photo look somewhat pigment-less. What are they looking for? Perhaps the fish exodus in the following video…
These are either some curious fish or something was behind them…